Łódź

Działka na sprzedaż

Opis nieruchomości

Działka budowlano-usługowa 15 000 m2 - ŁÓDŹ UL. STRYKOWSKA (możliwe usługi handlu o powierzchni sprzedaży do 1 000 m2)

Zapraszamy do zapoznania się z ofertą działki budowlano-usługowej mieszącej się bezpośrednio przy drodze krajowej nr 14 Łódź - Stryków.
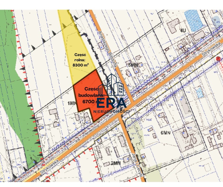
Działka o łącznej powierzchni 1,5 Ha składa się z części budowlano-usługowej o powierzchni około 6 700 m2 mieszącej się od strony drogi oraz zlokalizowanej z tyłu części rolnej o powierzchni około 8 300 m2.
Doskonała lokalizacja zapewnia szybką komunikację z centrum Łodzi oraz umożliwia wjazd na autostradę A2 i A1 na oddalonym o 5 minut jazdy węźle autostradowym Stryków. Wjazd na działkę posiada prawo i lewo skręt co daję możliwość wjazd zarówno od strony Łodzi jak i Strykowa.
Nieruchomość została objęta Miejscowym Planem Zagospodarowania Przestrzennego o symbolu 1MN z którego wynika iż:
Przeznaczenie podstawowe:
 a) zabudowa mieszkaniowa jednorodzinna,
b) usługi lokalne;
Przeznaczenie uzupełniające:
a) istniejąca zabudowa zagrodowa,
b) usługi handlu i rzemiosło,
c) drogi wewnętrzne,
d) infrastruktura techniczna;
Wskaźniki zagospodarowania terenu:
a) dla działek budowlanych o powierzchni powyżej 3 000 m2 – maksimum 15%;
Intensywność zabudowy:
a) dla działek budowlanych o powierzchni powyżej 3 000 m2 – minimum 0,01, maksimum 0,2;
Wskaźnik powierzchni biologicznie czynnej:
a) dla działek budowlanych o powierzchni powyżej 3 000 m2 – minimum 65%;
Zasady kształtowania zabudowy oraz lokalizacji obiektów i funkcji:
a) forma budynków mieszkalnych – wolnostojąca;
b) dopuszczenie lokalizacji funkcji usług w zabudowie wolnostojącej lub w ramach kubatury budynku
mieszkalnego;
c) lokalizację usług handlu o powierzchni sprzedaży do 1 000 m2;
W zakresie szczegółowych zasad i warunków podziału nieruchomości ustala:
1) powierzchnię działki – minimum 2 000 m2;
2) szerokość frontu działki – minimum 20,0 m;
3) kąt położenia granic działki w stosunku do pasa drogowego: od 60° do 90°.

Nieruchomość w tej chwili zabudowana jest budynkiem mieszkalnym o powierzchni użytkowej 160 m2 oraz budynkami garażowymi. 

Parter domu wymaga remontu wraz ze sprawdzeniem i ewentualnie wymiany instalacji elektrycznych oraz wodno-kanalizacyjnych, natomiast klatka schodowa oraz piętro wymagają wykończenia (wykonane zostały instalacje, gładź na ścianach). Dach pokryty jest blachą, okna PCV, ogrzewanie centralne z pieca węglowego. Ogólnie budynek w stanie dobrym. 

Media: prąd; woda z wodociągu (dodatkowo studnia głębinowa) oraz szambo;


Zapraszamy do kontaktu i prezentacji nieruchomości!

Służymy również pomocą w uzyskaniu kredytu.



 

Nota prawna

Opis oferty zawarty na stronie internetowej sporządzany jest na podstawie oględzin nieruchomości oraz informacji uzyskanych od właściciela, może podlegać aktualizacji i nie stanowi oferty określonej w art. 66 i następnych K.C.

Szczegóły oferty

Symbol oferty MACH-GS-178
Powierzchnia 15 000,00 m²
Powierzchnia użytkowa 160,00 m²
Powierzchnia działki 14 958 m²
Liczba pokoi 5
Przeznaczenie działki budowlana, usługowa
Rodzaj domu wolnostojący
Technologia budowlana pustak
Standard
Liczba pięter w budynku 2
Wymiary działki 59 x 102 x 100 m
Garaż garaż
Okna PCV
Instalacje dobre
Balkon jest
Liczba balkonów 1
Zagosp. działki częściowo zagospodarowana
Ukształtowanie działki lekko nachylona
Kształt działki trójkąt
Pokrycie dachu blacha
Stan budynku do remontu
Podpiwniczenie tak
Ogrodzenie działki częściowo ogrodzona
Gaz w ulicy
Woda jest
Dojazd asfalt
Otoczenie zabudowa jednorodzinna
Ogrzewanie centralne
Umeblowanie nieumeblowane
Odległość do komunikacji publicznej [m] 30 m
Odl. do sklepu [m] 1 000 m
Odl. do szkoły [m] 5 000 m
Prąd jest
Kanalizacja szambo

Pomieszczenia

Liczba łazienek 2
Liczba przedpokoi 2

Lokalizacja

Kalkulator kredytowy

PLN
%
Wysokość raty

Kalkulator kosztów

PLN
PLN
PLN
PLN
PLN
PLN
%
PLN
Podatek od czynności cywilno-prawnych
Taksa notarialna (opłata notarialna)
VAT od taksy notarialnej (opłaty notarialnej)
Wniosek do WKW
VAT od wniosku do WKW
Prowizja agencji nieruchomości
VAT od prowizji agencji nieruchomości
Wypisy aktu notarialnego - około
RAZEM (cena + opłaty)

Uwaga: mogą wystąpić dodatkowe opłaty za założenie księgi wieczystej oraz ustanowienie hipoteki.

Podobne oferty

działka na sprzedaż - Łódź, Górna, Kolumny

działka na sprzedaż

Łódź, Górna, Kolumny
  8 500,00 m2 80,00 zł/m2
nowa oferta
działka na sprzedaż - Łódź, Polesie, Podchorążych

działka na sprzedaż

Łódź, Polesie, Podchorążych
  1 410,00 m2 500,00 zł/m2

Napisz do nas

Proszę wypełnić to pole
Proszę wypełnić to pole
Proszę wypełnić to pole
Proszę wypełnić to pole
Trwa wysyłanie...

Ta strona wykorzystuje pliki cookies w celach statystycznych oraz w celu dostosowania naszych serwisów do indywidualnych potrzeb klientów. Zmiany ustawień dotyczących plików cookie można dokonać w dowolnej chwili modyfikując ustawienia przeglądarki. Korzystanie z tej strony bez zmian ustawień dotyczących cookies oznacza, że będą one zapisane w pamięci urządzenia.

rozumiem